Výpis nemovitostí






















Fotky
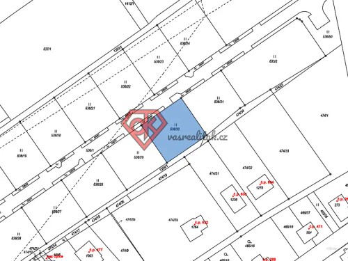
Mapa
Prodej stavebního pozemku 847 m²Ústí nad Orlicí, okres Ústí nad Orlicí
Vítejte v Hylvátech! Máte sen o vlastním bydlení, přesně podle svých představ na slunném a klidném místě a přitom na dosah ruky od všeho důležitého? Tento rovinatý pozemek o výměře 847 m² představuje naprosto výjimečnou příležitost. Je to místo, kde se klid přírody potkává s maximálním komfortem pro Vaši rodinu. Tento pozemek je součástí unikátního projektu, čítajícího celkem 12 stavebních parcel. Je to tedy ideální šance, zajistit si moderní bydlení v nově vznikající čtvrti. Pár technických údajů? - stavební pozemek pro rodinný dům - ideálně rovinatý - inženýrské sítě - kompletně připraveno (elektřina, voda, kanalizace) - přístup - nově vybudovaná, neprůjezdná asfaltová komunikace, což zaručuje minimální provoz, klid a maximální bezpečí pro Vás a Vaši rodinu - k dispozici také datová síť - orientace parcel - jihozápad O jakou se jedná lokalitu? Hylváty jsou úžasným místem pro život. Nacházejí se v těsné blízkosti centra Ústí nad Orlicí, takže máte veškerou občanskou vybavenost okresního města doslova za rohem. Školy, školky, nemocnice, úřady, sportoviště i obchodní centra vyřídíte během pár minut a přitom bydlíte v klidné lokalitě. Máte představu o svém budoucím domě? Přijďte se podívat na pozemek, který mu dá ten nejlepší základ. Zavolejte mi a já se na Vás budu těšit na prohlídce! Poznámka: - uvedené výměry jsou pouze orientační - v případě více zájemců bude nemovitost prodána nejlepší nabídce a majitel si vyhrazuje právo vybrat kupujícího na základě jim zvolených kritérií - veškeré zveřejněné údaje obsažené v tomto inzerátu mají pouze informativní charakter a nejsou nabídkou ve smyslu § 1731 nebo § 1732 občanského zákoníku, ani se nejedná o veřejný příslib dle § 1733 občanského zákoníku
Podrobnosti
Základní údaje
Cena
3 049 000 Kč
ID zakázky
0435
Typ budovy
Stavební pozemek
Dalších 65 nemovitostí v této lokalitě





